Uragano Medicane: l’uragano nel Mediterraneo e gli effetti temuti.
E’ di queste ore la notizia che un ciclone porterà venti fortissimi e burrasca al Sud di Italia, precisamente nel Mar Ionio e nel Mar Egeo. Per la prima volta nella storia, come riportano gli esperti di Il Meteo, è prevista la formazione di una struttura ciclonica che diventerà, nelle ore, un vero e proprio uragano di categoria 1 o 2. Sebbene i cicloni del Mediterraneo esistano e si presentino ogni anno, quello di quest’anno è attesa essere il peggiore mai avuto, tipico solo dei mari del sud.
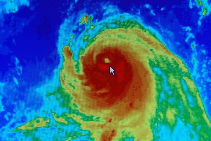
Il Mediterraneo è infatti interessato da fenomeni ciclonici, detti “cicloni mediterranei”, ossia depressioni con strutture a spirale, un occhio ben delimitato, venti molto intensi e abbondanti piogge a carattere temporalesco. Attraverso i dati satellitari è possibile individuarne la genesi, che come per gli uragani tropicali, è da ricercarsi nell’eccessiva energia termica presente sopra il mare, che nel Mediterraneo avviene normalmente tra Agosto e Settembre.
Il tratto di mare compreso tra Mar Ionio e Mar Egeo presenta al momento una temperatura più calda della norma: i valori registrati superano anche di 8° C la media del periodo. Tale temperatura della superficie contrasterà con l’aria fresca che giunge da nord-est e ciò determinerà la formazione del ciclone.
L’uragano, che si chiama Medicane perché “Mediterranean Hurricane“, avrà un occhio attorno al quale gireranno i corpi nuvolosi che determineranno violenti nubifragi. Sono inoltre previsti venti con una velocità di 160 km/h.
Non è facile prevedere la traiettoria del ciclone/uragano, ma gli esperti ritengono che molto probabilmente toccherà la Sicilia, nella zona compresa tra Catania e Siracusa, e la Calabria ionica e poi virerà verso la Grecia.
Al momento l’allerta è alta, e si temono forti piogge, mareggiate con onde alte anche 5 metri, venti forti, anche se l’uragano dovrebbe rimanere fondamentalmente in mare aperto.
Si teme inoltre che una volta abbandonata l’Italia l’uragano potrebbe anche diventare più potente, incontrando acqua ancora più calda nella zona ellenica.
Di seguito la mappa interattiva dove poter seguire le previsioni:
Speriamo unimamme che questi timori non si realizzino del tutto.